我 院小儿骨科(矫形外科)是儿童骨与关节创伤、先天性畸形、骨病等疾患的诊疗专科。儿童因生长发育期骨骼结构的特点,导致儿童骨折和先天性畸形等疾患,无论 是诊断还是治疗,都有其独特的、与成人不同的特点和巨大差异。我科十余年来,在儿童骨关节创伤、先天性或后天性畸形的诊治方面取得了卓有成效的研究和巨大 的成功,正在成为儿童外科专业中的强势学科。
专科特色及诊治范围 结合*********的科技进步,为患儿提供最细致、最专业、最科学的服务,最大限度减少儿童伤残、恢复肢体功能。
先天性马蹄内翻足:采用最适合儿童使用的玻璃纤维高分子石膏,具有轻便、防水、X光良好的穿透性的特性,无论石膏矫形还是采用Mckay及Carroll等手术使儿童马蹄足的治疗效果达国内一流水平。
图1.先天性马蹄内翻足畸形
图2.右侧手术后石膏固定,左侧石膏矫形
图3.左侧先天性马蹄足手术后,畸形足完全矫正,切口愈合后。
先天性髋关节脱位:各种年龄组先天性髋脱位的治疗是我科的传统强项,根据年龄和不同的病理状态,采取不同的个性化的治疗方案,其治愈率在省内处于领先水平。
图4.双侧先天性髋关节脱位右侧骨盆切开复位、骨盆截骨、股骨截骨治疗术后关节复位好
骨折及创伤:采用闭合穿针内固定、应用弹性髓内针治疗股骨、胫骨等长骨骨折,运用可吸收螺丝钉治疗骨端骨折,具有创伤小、骨折愈合快、皮肤外观好、功能恢复快的特点。
图5.儿童股骨干骨折手术前
图6.股骨骨折微创弹性髓内针固定,*********的骨折治疗方法。
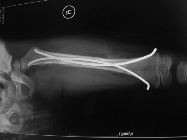
图7.右肱骨外髁骨折手术前
图8.当天骨折手术后复查X线片,骨折达到解剖复位
图9.开展医患沟通交流,解答疑惑,进行健康教育
斜颈:对先天性肌性斜颈的早期诊断及治疗疗效好。
其它:小儿骨关节系统疑难及少见病的诊断和治疗、大脑性瘫痪治疗、儿童股骨头坏死的诊断及治疗水平处于省内领先水平。
诊疗范围和时间
儿童骨关节及肌肉系统畸形、疼痛、骨关节创伤等各种疾病。如脊柱畸形、先天性髋关节脱位、先天性斜颈、先天性马蹄足等先天性畸形或疾病,股骨头缺血性坏死、骨关节结核等炎症,骨肿瘤及类肿瘤病变,脑瘫后遗症、骨折后遗畸形、肢体疼痛、跛行四肢疾患等。
服务承诺:
1.所有符合急诊手术条件的骨折等创伤患儿,开展限时急诊手术治疗,******限度减少患儿痛苦;
2.制订最科学最合理的治疗方案,为患儿提供优质服务。
就诊时间:
门诊:周一至周五 8:30--12:00,14:00--18:00
急诊:24小时接诊
就诊地址:门诊七楼外二科(小儿骨科)
咨询电话:0871-3169969转8688或8694
咨询信箱:[email protected]
